В Петербурге потратят год на подготовку планировки для развязки у «Лахта Центра»
Арина Столкова
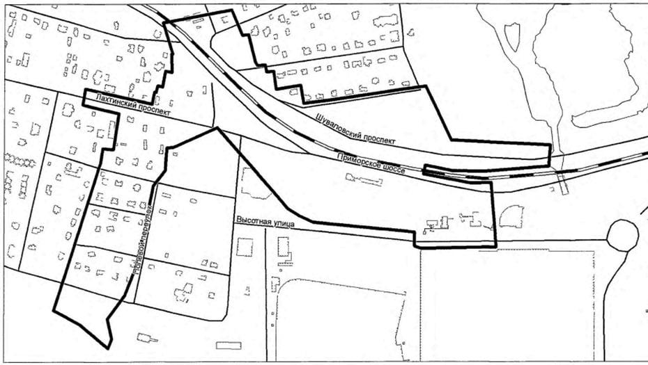
Дорога пройдет через железнодорожные пути Сестрорецкого направления и Приморское шоссе.

В Северной столице комитет по градостроительству и архитектуре (КГА) выдал поручение о подготовке проектов планировки и межевания территории для строительства транспортной развязки у «Лахта Центра». Об этом сегодня сообщил «Деловой Петербург».
Представители ведомства передали задание сотрудникам АО «Синергия», занимающимся проектированием новых башен «Лахта Центра». Фирма должна выполнить поручение до 19 февраля 2026 года.

Согласно имеющимся сведениям, дорога пройдет через железнодорожные пути Сестрорецкого направления и Приморское шоссе. К трассе подключат Шуваловский и Лахтинский проспекты, а также Высотную улицу.
Ранее 78.ru писал, что в Красногвардейском районе Петербурга планируют ликвидировать знаменитый «бублик».





